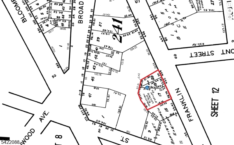
430 Franklin StBloomfield Twp., NJ 07003
Due to the health concerns created by Coronavirus we are offering personal 1-1 online video walkthough tours where possible.




An exceptional opportunity in Bloomfield, NJ. Discover a truly unique and expansive property, perfectly suited for a religious facility and community center, located in the heart of Bloomfield, New Jersey. This remarkable property offers over 14,000 square feet of versatile, three-story space, providing an exceptional foundation for growth. The main sanctuary room offers a grand and inspiring setting for large gatherings and worship, while the numerous additional rooms on each of the three floors provide limitless possibilities. These spaces can be used for religious facility, education facility, multi-purpose halls for community events, administrative offices, or many other purposes. A strategic location at the center of it all. Being part of a redevelopment district ensures a dynamic and forward-thinking environment, with ongoing improvements and growth in the surrounding area. The property's central position offers unparalleled convenience and connectivity. Just a short walk from the Bloomfield train station and multiple bus routes, the location is easily accessible for congregants and visitors from across the region, with direct connections to Newark and New York City. Proximity to Bloomfield College and other educational institutions makes this an ideal hub for students and faculty seeking spiritual guidance and community. This property is a rare find, all brick construction combining a generous footprint with a strategic location poised for growth and revitalization.
| 15 hours ago | Listing updated with changes from the MLS® | |
| yesterday | Listing first seen on site |
The data relating to real estate for sale on this website comes in part from the IDX Program of Garden State Multiple Listing Service, L.L.C. Real estate listings held by other brokerage firms are marked as IDX Listing. Notice: The dissemination of listings on this website does not constitute the consent required by N.J.A.C. 11:5.6.1 (n) for the advertisement of listings exclusively for sale by another broker. Any such consent must be obtained in writing from the listing broker. This information is being provided for Consumers' personal, non-commercial use and may not be used for any purpose other than to identify prospective properties consumers may be interested in purchasing. Information deemed reliable but not guaranteed. Copyright © 2026 Garden State Multiple Listing Service, L.L.C. All rights reserved.
